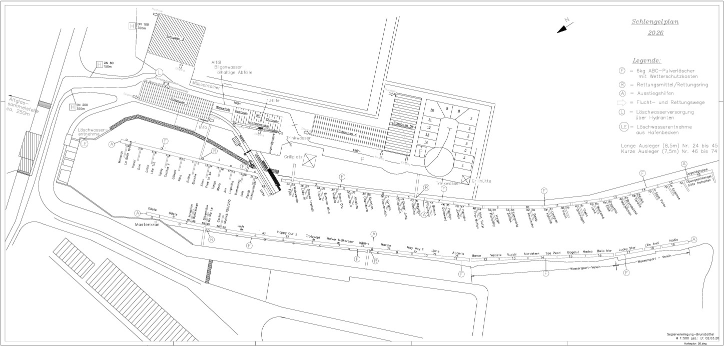
Der Hafenplan dient unseren Gästen als Orientierung. Das Brunsbüttler Hafengelände ist relativ weitläufig; auf dem Hafenplan ist zu erkennen, wo sich zum Beispiel das Mehrzweckgebäude mit den Toiletten oder die Grillplätze befinden.
Der Hafenplan dient unseren Gästen als Orientierung. Das Brunsbüttler Hafengelände ist relativ weitläufig; auf dem Hafenplan ist zu erkennen, wo sich zum Beispiel das Mehrzweckgebäude mit den Toiletten oder die Grillplätze befinden.
Die Gästeplätze befinden sich vor dem Schöpfwerk auf der Westseite des Hafens. Darüber hinaus können die mit grünen Schildern gekennzeichneten Liegeplätze der SVB Mitglieder genutzt werden. Das Trockenfallen der Schiffe bereitet in dem weichen Schlick keine Probleme. Hafengäste sollten die Strömung vom Pumpwerk am Prielende beachten, wenn die Pumpen laufen, ist eine rote Ampel an.
Im Mehrzweckgebäude befinden sich die Toiletten und Duschen. Auch unser Hafenmeister Team hat ein schönes neues Büro im Mehrzweckgebäude bekommen. Überdachte Grillhäuschen mit Elbblick und diverse Kurztrip-Räder (z.B. zum Brötchen holen) stehen unseren Gästen zur Verfügung. Die Zugangscodes für das Mehrzweckgebäude und die Fahrradschlösser bekommst du beim Hafenmeister.
Bei Fragen bitte an das Hafenmeister Team wenden.